Бесплатная библиотека стандартов и нормативов www.docload.ru

Все документы, размещенные на этом сайте, не являются их официальным изданием и предназначены исключительно для ознакомительных целей.
Электронные копии этих документов могут распространяться без всяких ограничений. Вы можете размещать информацию с этого сайта на любом другом сайте.
Это некоммерческий сайт и здесь не продаются документы. Вы можете скачать их абсолютно бесплатно!
Содержимое сайта не нарушает чьих-либо авторских прав! Человек имеет право на информацию!

 

Руководящие материалы
по сертификации электроустановок зданий.

ЭЛЕКТРОУСТАНОВКИ ЗДАНИЙ

Часть 7

ТРЕБОВАНИЯ К СПЕЦИАЛЬНЫМ ЭЛЕКТРОУСТАНОВКАМ

Раздел 703

ПОМЕЩЕНИЯ, СОДЕРЖАЩИЕ НАГРЕВАТЕЛИ ДЛЯ САУН

Разработчики: специалисты Главгосэнергонадзора России, Госстандарта России.

В сборник включены действующие на 1 января 1997 года Правила Системы сертификации электроустановок зданий, инструктивные и руководящие материалы, разработанные или согласованные Главгосэнергонадзором России, документы по системе аккредитации органов по сертификации, испытательных и измерительных лабораторий, общие требования к этим органам, материалы по оплате работ по сертификации продукции и услуг, заземляющие устройства и защитные проводники электроустановок зданий, требования к специальным электроустановкам зданий и др. документы.

Для специалистов органов по сертификации электроустановок зданий, испытательных и измерительных лабораторий, энергетиков и ответственных за электрохозяйство организаций и предприятий.

Предисловие

1. ПОДГОТОВЛЕН И ВНЕСЕН Техническим комитетом по стандартизации ТК 337 «Электрооборудование жилых и общественных зданий».

2. УТВЕРЖДЕН И ВВЕДЕН В ДЕЙСТВИЕ Постановлением Госстандарта России от 10 июля 1996 г. № 447.

3. Настоящий стандарт содержит полный аутентичный текст международного стандарта МЭК 364-7-703 (1984) «Электрические установки зданий. Часть 7. Требования к специальным электроустановкам. Раздел 703. Помещения, содержащие нагреватели для саун».

4. ВВЕДЕН ВПЕРВЫЕ.

Введение

Настоящий стандарт входит в часть 7 комплекса государственных стандартов на электроустановки зданий, разрабатываемых на основе стандартов Международной Электротехнической Комиссии МЭК 364 «Электрические установки зданий. Часть 7», устанавливающих требования по безопасности к специальным помещениям и устанавливаемому в них электрооборудованию.

Нумерация разделов и пунктов в стандарте соответствует принятой нумерации в стандарте МЭК 364-7-703 (1984).

Требования настоящего стандарта дополняют, изменяют или отменяют требования ГОСТ Р 50571.3 и ГОСТ Р 50571.8, что отражено в обозначениях разделов и пунктов стандарта.

Например: 703.4 - обозначение раздела настоящего стандарта, устанавливающего требования по обеспечению безопасности;

703.5 - обозначение раздела настоящего стандарта, устанавливающего требования к выбору и монтажу электрооборудования;

703.411.1.4.3 - обозначение пункта, изменяющего требования пункта 411.1.4.3 ГОСТ Р 50571.3.

Кроме того, для электроустановок помещений, содержащих нагреватели для саун, должны применяться требования других стандартов комплекса ГОСТ Р 50571 в части, относящейся к этим электроустановкам.

Электроустановки зданий

Часть 7

ТРЕБОВАНИЯ К СПЕЦИАЛЬНЫМ ЭЛЕКТРОУСТАНОВКАМ

Раздел 703

Помещения, содержащие нагреватели для саун

Дата введения 1997-01-01

1. Область применения

Настоящий стандарт устанавливает специальные требования к электроустановкам помещений, содержащих нагреватели для саун, с целью обеспечения защиты людей от поражения электрическим током и безопасной эксплуатации электроустановок.

Общие требования по обеспечению безопасности - по ГОСТ Р 50571.1 (часть 2).

2. Нормативные ссылки

В настоящем стандарте использованы ссылки на следующие стандарты:

ГОСТ Р 50571.1. Электроустановки зданий. Основные положения;

ГОСТ Р 50571.3-94, Электроустановки зданий. Часть 4. Требования по обеспечению безопасности. Защита от поражения электрическим током;

ГОСТ Р 50571.8-94. Электроустановки зданий. Часть 4. Требования по обеспечению безопасности. Общие требования по применению мер защиты для обеспечения безопасности. Требования по применению мер защиты от поражения электрическим током;

ГОСТ 27570.29-91. Безопасность бытовых и аналогичных электрических приборов. Дополнительные требования к электронагревательным приборам для саун и методы испытаний.

703. Помещения, содержащие нагреватели для саун

703.1. Электроустановки помещений, содержащих нагреватели для саун, должны соответствовать требованиям комплекса стандартов ГОСТ Р 50571 с учетом требований настоящего стандарта, которые дополняют, изменяют или отменяют соответствующие пункты стандартов этого комплекса.

Электронагреватели для саун должны соответствовать требованиям ГОСТ 27570.29.

703.4. Требования по обеспечению безопасности.

703.41. Защита от поражения электрическим током - по ГОСТ Р 50571.3 с учетом следующих требований.

703.411.1.4.3. При применении в качестве защитной меры системы БСНН защиту от непосредственного прямого прикосновения к токоведущим частям, независимо от номинального напряжения, следует выполнять:

- при помощи установки барьеров или оболочек, имеющих степень защиты не менее IР2Х;

- при помощи изоляции токоведущих частей, выдерживающей испытательное напряжение 500В переменного тока (действующее значение) в течение 1 мин.

703.471. Применение мер защиты от поражения электрическим током - по ГОСТ Р 50571.8 с учетом следующих требований.

703.471.1. Меры защиты от непосредственного (прямого) прикосновения к токоведущим частям, выполняемые путем установки барьеров по ГОСТ Р 50571.3 (412.3) или путем размещения токоведущих частей вне зоны досягаемости (412.4) ГОСТ Р 50571.3, не допускаются.

703.471.2. Меры защиты от косвенных прикосновений к открытым токопроводящим частям в непроводящих помещениях по ГОСТ Р 50571.3 (413.3) и выполняемые путем устройства систем местного уравнивания потенциалов, не соединенных с землей, по ГОСТ Р 50571.3 (413.4) не допускаются.

703.5. Выбор и монтаж электрооборудования.

703.51. Общие требования.

703.51.2. Электрооборудование должно иметь степень защиты не ниже IР24.

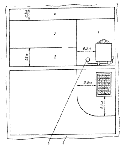
Настоящим стандартом регламентируются зоны размещения электрооборудования и требования к электрооборудованию (рисунок 703А):

- зона 1, в которой допускается размещать только электронагреватели для саун;

- зона 2, для которой требования по теплостойкости к электрооборудованию не устанавливаются;

- зона 3, в которой электрооборудование должно выдерживать температуру не менее 125° С, а изоляция проводов и кабелей - не менее 170° С;

- зона 4, в которой должны устанавливаться только устройства управления электронагревателями (термостаты и ограничители температуры) и электропроводка к ним. Электропроводка должна выдерживать температуру не менее 170° С.

703.52. Электропроводки.

Электропроводки должны иметь изоляцию, отвечающую требованиям ГОСТ Р 50571.3 (413.2), и не иметь металлических оболочек и труб.

703.53. Распределительные устройства и устройства управления.

Аппаратура, не встроенная в электронагреватели, должна быть размещена вне саун.

Запрещается устанавливать в саунах штепсельные розетки.

Сауна должна быть оборудована ограничителем температуры, который должен отключать электронагреватель от сети, если температура в зоне 4 превышает 140° С.

1 - теплоизоляция; 2 - соединительная коробка

Рисунок 703А - Зоны температуры окружающей среды

 




Rambler's Top100 Яндекс цитирования
  Copyright © 2008-2026, www.docload.ru