Бесплатная библиотека стандартов и нормативов www.docload.ru

Все документы, размещенные на этом сайте, не являются их официальным изданием и предназначены исключительно для ознакомительных целей.
Электронные копии этих документов могут распространяться без всяких ограничений. Вы можете размещать информацию с этого сайта на любом другом сайте.
Это некоммерческий сайт и здесь не продаются документы. Вы можете скачать их абсолютно бесплатно!
Содержимое сайта не нарушает чьих-либо авторских прав! Человек имеет право на информацию!

 

Система нормативных документов в строительстве

РУКОВОДЯЩИЙ ДОКУМЕНТ СИСТЕМЫ

Инструкция
о порядке проектирования и установления
красных линий в городах и других поселениях
Российской Федерации

РДС 30-201-98

Предисловие

1 РАЗРАБОТАН НПЦ «Региональное развитие»

Редакционная комиссия: В. И. Борисов, Р. П. Зубова, Л. А. Каиров, Л. А. Кранц, Ю. Б. Лапин, О. В. Никитина

2 ВНЕСЕН Управлением градостроительства, инфраструктуры и территориального развития Госстроя России

3 ПРИНЯТ постановлением Госстроя России от 6 апреля 1998 г. № 18-30 и введен в действие с 1 июля 1998 г.

4 ВВЕДЕН впервые

РДС 30-201-98

РУКОВОДЯЩИЙ ДОКУМЕНТ СИСТЕМЫ

Инструкция
о порядке проектирования и установления
красных линий в городах и других поселениях
Российской Федерации

Code
practice of the projecting and placing
of red lines in the cities and other settlements
of the Russian Federation

Дата введения 1998-07-01

1. ОБЛАСТЬ ПРИМЕНЕНИЯ

Настоящая Инструкция обязательна для соблюдения всеми субъектами градостроительной деятельности при проектировании и застройке территорий городов и других поселений, а также при межевании и инвентаризации застроенных или подлежащих застройке земель, при оформлении документов на право собственности, владения, пользования и распоряжения земельными участками и другими объектами недвижимости, их государственной регистрации.

2 НОРМАТИВНЫЕ ССЫЛКИ

Настоящая Инструкция разработана с учетом требований следующих нормативных документов:

СНиП 2.07.01-89* «Градостроительство. Планировка и застройка городских и сельских поселений»;

«Инструкция о составе, порядке разработки, согласования и утверждения градостроительной документации».

3 ОБЩИЕ ПОЛОЖЕНИЯ

3.1 Настоящая Инструкция определяет основные требования к порядку проектирования и установления красных линий в поселениях Российской Федерации.

3.2 При проектировании и установлении красных линий необходимо руководствоваться Градостроительным кодексом Российской Федерации и нормативными правовыми актами Российской Федерации в области градостроительства, иным законодательством Российской Федерации, принимаемыми в соответствии с ними законами и нормативными правовыми актами субъектов Российской Федерации, а также нормативными правовыми актами органов местного самоуправления.

3.3 Красные линии - границы, отделяющие территории кварталов, микрорайонов и других элементов планировочной структуры от улиц, проездов и площадей в городских и сельских поселениях.

3.4 Красные линии обязательны для соблюдения всеми субъектами градостроительной деятельности, участвующими в процессе проектирования и последующего освоения и застройки территорий городов и других поселений.

Соблюдение красных линий также обязательно при межевании и инвентаризации застроенных или подлежащих застройке земель в границах города или другого поселения, при оформлении документов гражданами и юридическими лицами на право собственности, владения, пользования и распоряжения земельными участками и другими объектами недвижимости, их государственной регистрации.

3.5 Осуществление проектирования зданий и сооружений и строительство на территориях поселений, не имеющих утвержденных в установленном порядке красных линий, не допускается.

3.6 Красные линии являются основой для разбивки и установления на местности других линий градостроительного регулирования, в том числе и границ землепользований.

3.7. Красные линии дополняются другими линиями градостроительного регулирования, определяющими особые условия использования и застройки территорий городов и других поселений.

Основными видами других линий градостроительного регулирования являются:

- линии регулирования застройки;

- границы технических зон проектируемых линий метрополитена;

- границы технических зон действующих линий метрополитена;

- границы технических зон инженерных сооружений и коммуникаций.

3.8 Красные и другие линии градостроительного регулирования подлежат обязательному отражению и учету:

- в генеральных планах, совмещенных с проектами детальной планировки, проектах детальной планировки, проектах застройки, проектах планировки магистралей, улиц и площадей;

- в проектах инженерно-транспортных коммуникаций;

- при инвентаризации земель в поселениях;

- при установлении границ землепользований;

- в проектах землеустройства;

- в проектах межевания территорий;

- при установлении границ территориальных зон в поселениях;

- в земельном и градостроительном кадастрах;

- на планах земельных участков, прилагаемых к свидетельству на право пользования, владения.

3.9 За нарушение красных линий устанавливается административная ответственность в соответствии с градостроительным законодательством Российской Федерации.

3.10 За нарушение других линий градостроительного регулирования устанавливается ответственность в соответствии с законодательством Российской Федерации, субъектов Российской Федерации, нормативными правовыми актами органов местного самоуправления.

4 ПОРЯДОК РАЗРАБОТКИ, СОГЛАСОВАНИЯ И УТВЕРЖДЕНИЯ ПРОЕКТА КРАСНЫХ ЛИНИЙ

4.1 Проект красных линий разрабатывается, согласовывается и утверждается, как правило, в составе градостроительной документации, выполняемой на территорию поселения или части поселения в масштабе 1:2000 (генерального плана поселения, совмещенного с проектом детальной планировки, проекта детальной планировки), и является утверждаемой ее частью, а также на основе проектов планировки и застройки микрорайонов, площадей, улиц и других градостроительных объектов, выполняемых в масштабе 1:500, 1:1000 и 1:2000.

4.2. Красные линии разрабатываются в составе:

- плана красных линий в масштабе исходного проекта;

- разбивочного чертежа красных линий в масштабе 1:2000.

4.3 В отдельных случаях красные линии могут устанавливаться до разработки градостроительной документации, закрепляя исторически сложившуюся систему улично-дорожной сети застроенных и озелененных территорий. В этом случае чертеж и акт установления (изменения) красных линий сопровождается указанием на необходимость последующей детальной разработки.

4.4 При разработке проекта красных линий в качестве самостоятельного проекта он разрабатывается на основе генеральных планов поселений и проектов детальной планировки территории и утверждается органами местного самоуправления по согласованию с органами государственного контроля и надзора, другими заинтересованными службами органов местного самоуправления.

Перечень согласовывающих организаций определяется заданием на проектирование.

Как правило, согласование красных линий осуществляется проектной организацией одновременно с согласованием соответствующей градостроительной документации.

4.5 После утверждения проекта, включающего план красных линий, разработки и утверждения разбивочного чертежа красные линии переносятся органами архитектуры и градостроительства на планшеты топоподосновы в масштабе 1:2000, охватывающие территорию всего поселения, и закрепляются на ней как сводный план красных линий.

4.6 Корректировка красных линий может осуществляться по решению органов местного самоуправления, утвердивших их, в связи с изменением градостроительной ситуации в результате необходимости проведения реконструкции сложившейся застройки, изменением категории (пропускной способности) улиц и дорог поселения.

4.7 Сводный план красных линий выполняется, хранится и поддерживается органами архитектуры и градостроительства. Органы архитектуры и градостроительства осуществляют контроль за соблюдением красных линий на подведомственной территории и несут ответственность за своевременное внесение дополнений и изменений в соответствии с утвержденными разбивочными чертежами.

4.8 Подлинные чертежи планов красных линий, разбивочных чертежей и актов установления (изменения) красных линий хранятся в органах архитектуры и градостроительства вместе с соответствующей градостроительной документацией.

4.9 Пользование материалами сводного плана красных линий, перенос красных линий на материалы подосновы, тиражирование и предоставление выкопировок из сводного плана красных линий заинтересованным организациям, предприятиям и муниципальным службам производится в порядке, предусмотренном градостроительным уставом и правилами землепользования и застройки поселений.

5 ТРЕБОВАНИЯ К СОДЕРЖАНИЮ И ОФОРМЛЕНИЮ ПЛАНА КРАСНЫХ ЛИНИЙ И РАЗБИВОЧНОГО ЧЕРТЕЖА КРАСНЫХ ЛИНИЙ

5.1 План красных линий и разбивочный чертеж красных линий выполняются и оформляются в соответствии с требованиями «Инструкции о составе, порядке разработки, согласования и утверждения градостроительной документации», утвержденной Госстроем России постановлением от 22.12.93 г. № 18-58.

5.2 Разбивочный чертеж красных линий выполняется на топографической основе в масштабе 1:2000 или на кальке с дециметровой сеткой и имеет текстовую часть, которая включает:

- заголовок с указанием содержания документа (установление, изменение или отмена красных линий);

- регистрационный номер разбивочного чертежа, который присваивается документу после его утверждения;

- пояснительную записку, содержащую ссылку на разработанную градостроительную документацию, положенную в основу разбивочного чертежа, а также краткое обоснование установления (изменения, отмены) красных линий;

- подписи должностных лиц, согласовавших разбивочный чертеж;

- наименование, номер и дату распорядительного документа об утверждении чертежа;

- данные об ответственном исполнителе разбивочного чертежа и его подпись.

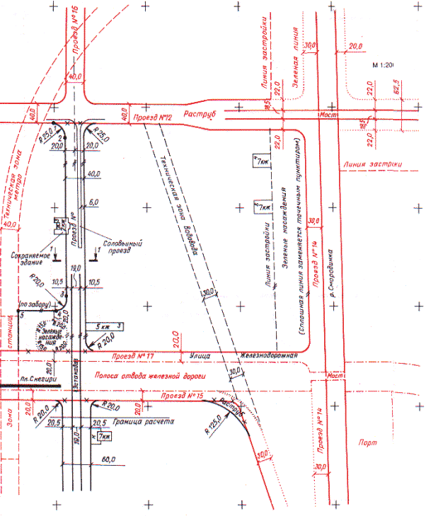
5.3 На разбивочном чертеже красных линий отражается следующая графическая информация:

5.3.1 Дециметровая сетка крестов с указанием номенклатуры планшетов в принятой системе координат показывается черным цветом.

5.3.2 Опорные здания и сооружения, другие элементы градостроительной или топографической ситуации в случае привязки к ним устанавливаемых красных линий показываются коричневым цветом.

5.3.3 Действующие красные линии показываются красным цветом. Действующие линии, подлежащие отмене, данным чертежом, зачеркиваются крестами черного цвета.

5.3.4 Устанавливаемые красные линии со всеми сопровождающими их надписями и размерами показываются на разбивочном чертеже черным цветом, включая:

- ширину проектируемых поперечных профилей улиц, проездов, технических зон, полосы между красными линиями и линиями застройки (м) и др.;

- дополнительные размеры, определяющие построение устанавливаемых линий по действующим линиям, фасадам зданий и сооружений и другим условиям привязки;

- надпись «Граница расчета» - при отсутствии на проектируемой территории действующих линий либо при невозможности увязать устанавливаемые красные линии с действующими.

5.4 Разбивочный чертеж красных линий наряду с графической информацией должен содержать пояснительные надписи, в том числе:

наименование улиц, рек, железнодорожных платформ, природных объектов и других элементов, определяющих местоположение территории в поселении;

- пояснительные надписи, облегчающие чтение чертежа: «зеленые насаждения», «линия застройки» (надпись делается со стороны застроенной территории), «техническая зона», «речной порт» и др.

Разбивочный чертеж может сопровождаться надписями, поясняющими условия построения красных линий. Надписи даются в скобках и не подлежат переносу на сводный план красных линий.

5.5 В зонах транспортных развязок показываются транспортные сооружения (мосты, путепроводы, тоннели и др.), сопровождаемые соответствующими надписями.

При пересечении в разных уровнях инженерных сетей и сооружений линии верхнего уровня показываются присвоенным им знаком, а нижнего уровня - прерывистой линией.

5.6 При обозначении на разбивочном чертеже красных и других линий градостроительного регулирования должны использоваться условные картографические знаки, приведенные в приложении А.

5.7 На разбивочном чертеже красных линий наносятся исходные данные для последующего расчета координат: протяженность прямых участков линий, радиусы закруглений на криволинейных участках, точки переломов, а также начала кривых. При отсутствии полного комплекта поперечных профилей, предусмотренных в 5.8 настоящей Инструкции, на разбивочном чертеже должны быть показаны оси основных проезжих частей с привязкой к ним красных линий и исходными данными для расчета координат точек пересечения осей, переломных точек и вершин углов поворота осей. Образец оформления разбивочного чертежа красных линий приводится в приложении Б.

5.8 Поперечные профили городских улиц (проездов, дорог, набережных) выполняются в масштабе 1:200. Ширина улицы в красных линиях и функциональных элементов поперечного профиля приводится с точностью до 0,01 м. При необходимости этапного строительства городской улицы на поперечном профиле выделяется ширина проезжей части и тротуаров на 1-ую очередь или выполняются специальные поперечные профили. Асимметричные поперечные профили сопровождаются пояснительной надписью для ориентации профиля относительно плана. Образец оформления поперечного профиля улицы приведен в приложении Г.

5.9 Для переноса установленных красных линий на топографические планы и другие картографические материалы, а также для выноса красных линий в натуру (на местность) используются методы аналитического расчета красных линий по координатам.

Расчет геодезических координат красных линий выполняется с точностью вычислений ±0,01 м по разбивочному чертежу в масштабе 1:2000. При расчете необходимо учитывать опорную застройку и подземные коммуникации, материалы разбивки осей зданий, землеотводы.

Координаты точек пересечения осей, переломные точки осей и красных линий приводятся непосредственно на чертеже или в форме ведомости, которая прилагается к чертежу (приложение В). Расчетные каталоги координат и схемы расчетов хранятся с оригиналами актов красных линий бессрочно и с ограничением права доступа.

5.10 Концевые и поворотные точки красных линий закрепляются на местности геодезическими знаками постоянного типа и координируются с точностью 0,05 м относительно ближайших точек опорной геодезической сети.

5.11 Установление красных линий в натуре (на местности) осуществляется организациями, имеющими лицензии на проведение этих работ, и оформляется актом выноса красных линий в натуру (на местность).

6 КОНТРОЛЬ ЗА СОБЛЮДЕНИЕМ КРАСНЫХ ЛИНИЙ

6.1 Контроль за соблюдением красных линий осуществляют местные органы архитектуры и градостроительства в порядке, установленном «Инструкцией о порядке осуществления государственного контроля за использованием и охраной земель по вопросам, отнесенным к компетенции Госстроя России», утвержденной приказом Госстроя России от 02.03.94 г. № 17-14.

ПРИЛОЖЕНИЕ А

(обязательное)

УСЛОВНЫЕ КАРТОГРАФИЧЕСКИЕ ЗНАКИ КРАСНЫХ И ДРУГИХ ЛИНИЙ ГРАДОСТРОИТЕЛЬНОГО РЕГУЛИРОВАНИЯ

Наименование линий

Условные обозначения

1. Красные линии

2. Линии регулирования застройки

3. Границы технических зон проектируемых линий метрополитена

4. Границы технических зон действующих линий метрополитена

5. Границы технических (охранных) зон инженерных сооружений и коммуникаций

Примечание - Условные обозначения сопровождаются пояснительными надписями: 5. - вид коммуникаций (ЛЭП, газ и т.д.)

ПРИЛОЖЕНИЕ Б

(обязательное)

ЭТАЛОН РАЗБИВОЧНОГО ЧЕРТЕЖА КРАСНЫХ ЛИНИЙ
РАЗБИВОЧНЫЙ ЧЕРТЕЖ КРАСНЫХ ЛИНИЙ В РАЙОНЕ СОЛОВЬИНОГО ПРОЕЗДА

ПРИЛОЖЕНИЕ В

(обязательное)

ОБРАЗЕЦ ВЕДОМОСТИ РАСЧЕТА КООРДИНАТ ТОЧЕК КРАСНЫХ ЛИНИЙ

Точка 1          х -...; у -...

Точка 2          х -...; у -...

элемент - арка

центр -х -... ;у -...

радиус - ....

угол - ....

тангенс - ....

длина - ....

Точка 1 х -...; у -...

Точка 3          х -...; у -...

элемент - прямая линия

дирекционное направление -...

расстояние -...

створная точка № 3˘˘ х -...; у -...

Точка 2 х -...; у -...

Точка 4          х -...; у -...

элемент - арка

центр - х -...; у -...

радиус - ....

угол - ....

тангенс - ....

длина - ....

Точка 3 х -...; у -...

Точка 5          х -...; у -...

элемент - прямая линия

дирекционное направление -...

расстояние -....

Точка 4 х -...; у -...

«УТВЕРЖДЕНО»

Peг. №              от 199 г.

Мы, нижеподписавшиеся, составили настоящий акт о том, что устанавливаемые красные линии, показанные на чертеже, соответствуют утвержденному «Проекту детальной планировки жилого района Снегири».

Пояснительная записка

1. Установить красные линии вдоль Соловьиного проезда шириной 40,0 м в увязке с существующей осью проезда № 16; по границе отведенного участка под реконструкцию пожарного депо по адресу: Соловьиный проезд, вл. 1, с учетом сохранения административного здания по Соловьиному проезду, 3; по фасаду жилого дома по адресу: ул. Железнодорожная, 3.

В районе пересадочного узла у железнодорожной платформы Снегири установить красную линию с учетом организации отстойно-разворотной площадки общественного транспорта в увязке с действующими красными линиями и с учетом существующего забора пожарного депо.

2. Установить техзону существующего магистрального водовода шириной 30,0 м.

3. Установить линию застройки вдоль реки Смородинка по фасадам существующих жилых домов. Территория вдоль набережной до линии застройки должна быть озеленена и благоустроена.

Примечание - Поперечный профиль Соловьиного проезда прилагается.

ПРИЛОЖЕНИЕ Г

(обязательное)

ЭТАЛОН ПОПЕРЕЧНОГО ПРОФИЛЯ УЛИЦЫ
НАИМЕНОВАНИЕ УЛИЦЫ ИЛИ № ПРОЕЗДА

Наименование участка действия поперечного профиля (от ...до...)

СОДЕРЖАНИЕ

1. Область применения. 1

2 нормативные ссылки. 1

3 общие положения. 1

4 порядок разработки, согласования и утверждения проекта красных линий. 2

5 требования к содержанию и оформлению плана красных линий и разбивочного чертежа красных линий. 3

6 контроль за соблюдением красных линий. 5

Приложение а Условные картографические знаки красных и других линий градостроительного регулирования. 5

Приложение б Эталон разбивочного чертежа красных линий разбивочный чертеж красных линий в районе соловьиного проезда. 5

Приложение в Образец ведомости расчета координат точек красных линий. 6

Приложение г Эталон поперечного профиля улицы наименование улицы или № проезда. 6

 




Rambler's Top100 Яндекс цитирования
  Copyright © 2008-2026, www.docload.ru